Ảnh vệ tinh siêu bão Sinlaku sáng 14-4 - Ảnh: Himawari 8 |
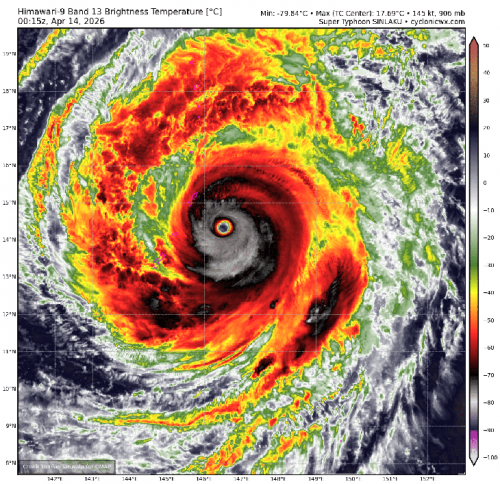
Theo Cơ quan khí tượng Nhật Bản (JMA) lúc 6h sáng nay, tâm siêu bão Sinlaku đang ở cách đảo Saipan (thuộc quần đảo Bắc Mariana) khoảng 160km về phía đông nam, sức gió mạnh nhất vùng gần tâm bão vẫn duy trì khoảng 210km/h, tương đương cấp 17, giật trên cấp 17.
JMA cho biết hiện tại áp suất vùng trung tâm siêu bão vẫn ở mức rất thấp 905 hPa - tức một siêu bão cực kỳ mạnh với vùng gió mạnh cấp 7 trở lên trải dài từ 500-600km tính từ tâm bão, vùng gió mạnh cấp 10 trở lên khoảng 165km.
Trên ảnh vệ tinh sáng nay cho thấy mắt siêu bão Sinlaku vẫn rõ nét, tròn xoe, hoàn lưu rộng hàng trăm km, đối xứng, dày đặc, đang áp sát, bao trùm quần đảo Bắc Mariana.
Dự báo trong 24 giờ tới, siêu bão Sinlaku tiếp tục di chuyển theo hướng tây bắc với tốc độ khoảng 15km/h, quét qua quần đảo Bắc Mariana, với trọng tâm là hai đảo Saipan và Tinian, cường độ có thể suy yếu dần.
Đến 6h sáng 15-4, tâm siêu bão ở trên vùng biển phía đông bắc quần đảo Bắc Mariana. Sức gió mạnh nhất vùng gần tâm bão lúc này khả năng suy yếu xuống 185km/h (tương đương đầu cấp 16).
Những ngày sau đó, bão đi theo hướng bắc rồi đông bắc, cường độ bão khả năng suy yếu thêm.
Ảnh vệ tinh siêu bão Sinlaku sáng 14-4 - Ảnh: Cyclonicwx |
Hiện siêu bão Sinlaku đang cách Biển Đông khoảng 3.000km và với dự báo hướng di chuyển trên, Cơ quan khí tượng Việt Nam nhận định siêu bão Sinlaku không có khả năng đi vào khu vực Biển Đông và không ảnh hưởng đến đất liền nước ta.
Sinlaku là cơn bão đầu tiên trong năm 2026 đạt cấp siêu bão. Đây cũng là lần thứ ba kể từ năm 1977 mới xuất hiện một siêu bão trong tháng 4, trước đó là siêu bão Surigae năm 2021.
Tính từ đầu năm đến nay, Sinlaku đang là cơn bão mạnh nhất thế giới với áp suất trung tâm 905 hPa, vượt qua bão Maila ở khu vực Úc (924 hPa).
Với áp suất trung tâm 905 hPa, các chuyên gia thời tiết đánh giá đây là một siêu bão cực kỳ mạnh, có sức tàn phá lớn, bất kỳ khu vực đất liền nào nằm trên đường đi của bão đều sẽ phải đối mặt với những hậu quả nặng nề.
Tác giả: Chí Tuệ
Nguồn tin: tuoitre.vn










